Temperaturwert = Farbwert | temperature value = colour value |
Wohnhaus vor der Renovierung 2009
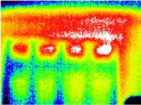
Residential building before renovation 2009

Einstufung im Energieausweis vor der Sanierung 2009
Classification for the energy certificate before renovation 2009
Wohnhaus nach der Renovierung 2010
Residential building after renovation 2010
Einstufung im Energieausweis nach der Sanierung 2010
Classification for the energy certificate after renovation 2010
______________________________________________________
Einfamilienhaus in Viersen
One family house
Haus vor der Sanierung im Dezember 2008
House before renovation - December 2008
Alte Ölheizung und neuer Holzvergaser - Pufferspeicher
old oil heating system and new wood heating system - hot water storage tank
Neues Dach, neue Fenster und Dämmung der Fassade im Sommer 2010
new roof, new windows and insulation of the wall - Summer 2010
Anschluß Außenwanddämmung und Dachdämmung
connection insulation wall and insulation wall
Haus nach der Sanierung im Sommer 2010
House after renovation in summer 2010
Einstufung im Energieausweis nach der Sanierung
Classification for the energy certificate after renovation