Mit ENERGIE Geld sparen - www.pongs.info

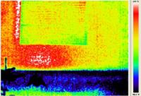
Temperaturwert = Farbwert
schwarz, blau = kalt / rot, weiß = warm
Jedes Bild ist eine Momentaufnahme

temperature value = colour value
black, blue = cold / red, white = warm
each image is a snapshot

Heizkörper an der Außenwand - Radiators on the outside wall

   

       

       

       

      

      

Haben Sie Fragen zur Thermografie?

Dann rufen Sie uns einfach an, Telefon 02161 561579