Mit ENERGIE Geld sparen - www.pongs.info

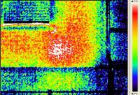
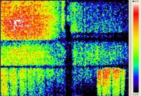
Temperaturwert = Farbwert
schwarz, blau = kalt / rot, weiß = warm
Jedes Bild ist eine Momentaufnahme

temperature value = colour value
black, blue = cold / red, white = warm
each image is a snapshot

Bauschaden - building damage

Wohnhaus in Mönchengladbach-Odenkirchen
Residential building

Manchmal ist ein Architekt sinnvoll - zufällig in Odenkirchen entdeckt - schlechte und mangelhafte Wärmedämmung in Eigenleistung
Sometimes an architect makes sense - discovered by chance in Monchengladbach-Odenkirchen, poor and inadequate insulation in individual performance

Schimmel und durchfeuchtetes Mauerwerk
Mold and damp Masonry

        

     

Ursache u.a. verstopfte Regenrinne
Reason , among other clogged rain gutter

      

Haben Sie Fragen zur Thermografie?

Dann rufen Sie uns einfach an, Telefon 02161 561579